यह तूफान अभी जमैका से टकराने वाला है और अत्यधिक सावधानी बरतने की जरूरत है
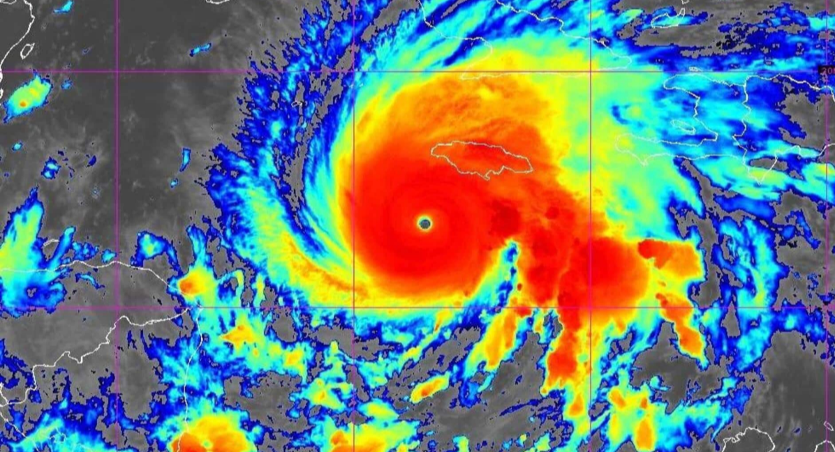
2025 का सबसे ताकतवर तूफान हरिकेन मेलिसा जमैका के पास कैरिबियाई क्षेत्र में पहुंच गया है। इसकी हवाओं की रफ्तार लगभग 282 किमी प्रति घंटा (175 मील प्रति घंटा) है, जो इसे कैटेगरी 5 का सबसे खतरनाक तूफान बनाती है। अब तक इस तूफान से जमैका में 3 लोगों सहित हैती और डोमिनिकन रिपब्लिक में कुल 7 मौतें हुई हैं।
तेज हवाओं और मूसलाधार बारिश की वजह से जमैका में भारी तबाही मची है, सैकड़ों घर मलबे में तब्दील हो गए हैं, राजधानी किंग्सटन समेत अन्य क्षेत्रों में बिजली गुल हो गई है, पेड़ उखड़ गए हैं और सड़कों पर बाढ़ जैसे हालात बन गए हैं।
इस तूफान ने हैती और डोमिनिकन रिपब्लिकन में भी विनाश और जानमाल का नुकसान पहुंचाया है।मेलिसा तूफान की ताकत और तीव्रता कैरिबियन सागर के असामान्य गर्म समुद्री तापमान के कारण रिकॉर्ड स्तर पर पहुंची है। वैज्ञानिकों का कहना है कि जलवायु परिवर्तन की वजह से इस तरह के भयंकर तूफान बनने की संभावना कई गुना बढ़ गई है।
जमैका सरकार ने तटीय इलाकों में अनिवार्य निकासी आदेश जारी कर आम जनता को सुरक्षित स्थानों पर जाने के लिए कहा है। तूफान के कारण भारी बारिश, 13 फीट तक ज्वारीय तूफान और भूस्खलन की आशंका भी जताई जा रही है, जिससे और ज्यादा नुकसान हो सकता है। अभी तूफान जमैका से टकराने वाला है और इसे विनाशकारी व जानलेवा बताया जा रहा है।
